여행지
국내여행지
휴게소
전기충전소
식물도감
맛집
국내맛집
고수의레시피
음식용어사전
숙박
축제
여행플래너
최근 검색어
전체삭제
연관 게시글
닫기
Guest
로그인하지 않았습니다
여행지
국내여행지
휴게소
전기충전소
식물도감
맛집
국내맛집
고수의레시피
음식용어사전
숙박
축제
여행플래너
목록
2026.03.25 09:39
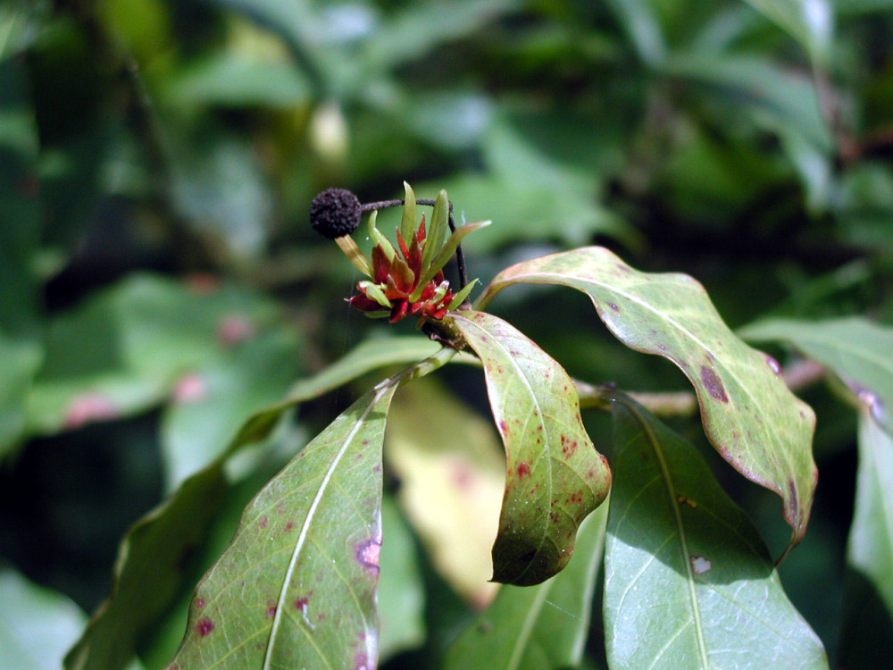
필룰리페라구슬꽃나무
최고관리자
오래 전
2026.03.25 09:39
10
0
기본 정보
식물명 : 필룰리페라구슬꽃나무
학명 : Adina pilulifera Franch. ex Drake
과명 : 꼭두서니과 (Rubiaceae)
자원구분 : 재배품종
분류체계 : 피자식물문 > 쌍자엽식물강 > 용담목 > 꼭두서니과 > 구슬꽃나무속
페이스북 공유
트위터 공유
추천해요
0
별로에요
0
목록
이전글
만병초 '리오'
2026.03.25
다음글
푸밀라니포피아
2026.03.25
댓글
0
댓글목록
등록된 댓글이 없습니다.
LOGIN
여행지
맛집
숙박
축제
휴게소
전기차충전소
인기 검색어
#
구미시
#
남해군
#
서귀포시
#
제주시
#
2
#
거제시
#
고양시
#
고성군
#
평창군
#
영덕군
요즘 뜨는 글
맛집 강원
헬로피스카페
관리자 2026-04-17
맛집 전북
본가
관리자 2026-04-16
맛집 경기
에버그린
관리자 2026-04-16
맛집
남원식당
관리자 2026-04-16
맛집 대구
연화식당
관리자 2026-04-16
Guest
로그인
회원가입
여행지
국내여행지
휴게소
전기충전소
식물도감
맛집
국내맛집
고수의레시피
음식용어사전
숙박
축제
여행플래너